US Attorney: 74 people face federal charges from Portland protests
Seventy-four people are now facing federal charges related to protests that have rocked Portland, Oregon, for three months since George Floyd was killed, the local U.S. attorney announced Thursday.
Seventy-four people are now facing federal charges related to protests that have rocked Portland, Oregon, for three months since George Floyd was killed, the local U.S. attorney announced Thursday.
Delta bans nearly 250 people from flying on its planes for refusing to wear masks
In an internal memo released Thursday, Delta Air Lines has placed more than 240 people on a “no fly list” for failing to comply with its mandatory mask policy.
In an internal memo released Thursday, Delta Air Lines has placed more than 240 people on a “no fly list” for failing to comply with its mandatory mask policy.
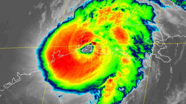
Hurricane Laura moving inland over Louisiana after making landfall as Cat 4
Hurricane Laura made landfall and brings unsurvivable storm surge with large and destructive waves that will cause catastrophic damage from Sea Rim State Park, Texas, to Intracoastal City, Louisiana.
Hurricane Laura made landfall and brings unsurvivable storm surge with large and destructive waves that will cause catastrophic damage from Sea Rim State Park, Texas, to Intracoastal City, Louisiana.
Illinois police: 17-year-old police admirer arrested in killing of 2 people in Kenosha
Two people died and one person was injured as shots were fired late Tuesday in Kenosha during the third night of unrest in Wisconsin following the shooting of a Black man by police, Kenosha police said.
Two people died and one person was injured as shots were fired late Tuesday in Kenosha during the third night of unrest in Wisconsin following the shooting of a Black man by police, Kenosha police said.
Computer science student gunned down while in prayer circle at friend's graduation
Investigators say Zavier Patton was in a prayer circle with other young people when he was shot.
Investigators say Zavier Patton was in a prayer circle with other young people when he was shot.
Temple police believe body of missing Ft. Hood soldier found
Police say a body found along railroad tracks in Temple is believed to be 23-year-old Sgt. Elder Fernandes.
Police say a body found along railroad tracks in Temple is believed to be 23-year-old Sgt. Elder Fernandes.
RNC takeaways: Trump in spotlight as convention kicks off
President Donald Trump’s Republican Party will try to reintroduce itself to the American electorate this week. It will be no easy task.
President Donald Trump’s Republican Party will try to reintroduce itself to the American electorate this week. It will be no easy task.
WHO: Avoid dental cleanings and other routine visits to the dentist for now
You should put off routine dental care until coronavirus cases fall, according to the WHO. UPDATE: A network of dentists in the U.S. have pushed back.
You should put off routine dental care until coronavirus cases fall, according to the WHO. UPDATE: A network of dentists in the U.S. have pushed back.
Woman found alive at Detroit funeral home after she was declared dead
A woman was found to still be alive after she had been transported to a funeral home after both the Oakland County Medical Examiner's office and the Southfield Fire Department determined she had expired.
A woman was found to still be alive after she had been transported to a funeral home after both the Oakland County Medical Examiner's office and the Southfield Fire Department determined she had expired.
Protests erupt after Kenosha police shoot Black man Sunday evening
A person was hospitalized in serious condition following a shooting by officers about 5 p.m. Sunday as officers were responding to a “domestic incident,” the Kenosha Police Department said in a news release.
A person was hospitalized in serious condition following a shooting by officers about 5 p.m. Sunday as officers were responding to a “domestic incident,” the Kenosha Police Department said in a news release.
California high court rejects Scott Peterson’s death penalty
It upheld his 2004 murder conviction in the killing of Laci Peterson, 27, who was eight months pregnant with their unborn son, Connor. Investigators said that on Christmas Eve 2002, Peterson dumped the bodies from his fishing boat into San Francisco Bay, where they surfaced months later.
It upheld his 2004 murder conviction in the killing of Laci Peterson, 27, who was eight months pregnant with their unborn son, Connor. Investigators said that on Christmas Eve 2002, Peterson dumped the bodies from his fishing boat into San Francisco Bay, where they surfaced months later.
NY Attorney General investigating if Trump inflated assets
New York’s Democratic attorney general asked a court Monday to enforce subpoenas into an investigation into whether President Donald Trump and his businesses inflated assets on financial statements.
New York’s Democratic attorney general asked a court Monday to enforce subpoenas into an investigation into whether President Donald Trump and his businesses inflated assets on financial statements.
CDC drops 14-day self-quarantine recommendation
The Centers for Disease Control and Prevention (CDC) on Friday dropped its recommendation for travelers to quarantine for 14 days upon returning from trips overseas or out of state during the coronavirus pandemic.
The Centers for Disease Control and Prevention (CDC) on Friday dropped its recommendation for travelers to quarantine for 14 days upon returning from trips overseas or out of state during the coronavirus pandemic.
Some Bonny Doon residents refuse to evacuate, stay behind to save their homes
It’s not something Cal Fire or law enforcement condones, but with limited official resources, the residents say they felt like they had to do something.
It’s not something Cal Fire or law enforcement condones, but with limited official resources, the residents say they felt like they had to do something.
70-year-old man found dead; wildfires rage through Northern California
The Santa Cruz fire is one of three “complexes,” or groups of fires, burning on all sides of the San Francisco Bay Area. All were started by lightning.
The Santa Cruz fire is one of three “complexes,” or groups of fires, burning on all sides of the San Francisco Bay Area. All were started by lightning.
Kellyanne Conway to leave post in the White House to focus on her family
Kellyanne Conway, the counselor to the president and one of the longest fixtures in the Trump White House, will leave her position at the end of the month to focus on her family, she tweeted late Sunday.
Kellyanne Conway, the counselor to the president and one of the longest fixtures in the Trump White House, will leave her position at the end of the month to focus on her family, she tweeted late Sunday.
Biden has not been tested for coronavirus, deputy campaign manager says
Despite not being tested himself, Biden has laid out a plan for free testing nationwide, expanding testing sites, having federal safety regulators enforce testing at work, and assembling at least 100,000 contact tracers to find people exposed to the virus.
Despite not being tested himself, Biden has laid out a plan for free testing nationwide, expanding testing sites, having federal safety regulators enforce testing at work, and assembling at least 100,000 contact tracers to find people exposed to the virus.
COVID-19 deaths across world surpass 700,000, according to Johns Hopkins
The milestone comes at a time when children are preparing to return to school and COVID-19 cases are surging across the U.S.
The milestone comes at a time when children are preparing to return to school and COVID-19 cases are surging across the U.S.
Tropical Storm Laura forms; still forecast to enter Gulf of Mexico
Tropical Storm Laura officially formed after Hurricane Hunters found 45-mph winds and a center of circulation. It's the 11th named storm of the season, and also the earliest "L" name storm on record.
Tropical Storm Laura officially formed after Hurricane Hunters found 45-mph winds and a center of circulation. It's the 11th named storm of the season, and also the earliest "L" name storm on record.
Second lawsuit from Democrats claims USPS changes will harm mail-in voting this November
The lawsuit was filed against Postmaster General Louis DeJoy just as he was answering questions about the policies at a U.S. Senate hearing in Washington. The other defendants are the Postal Service and the agency's board chairman.
The lawsuit was filed against Postmaster General Louis DeJoy just as he was answering questions about the policies at a U.S. Senate hearing in Washington. The other defendants are the Postal Service and the agency's board chairman.



















